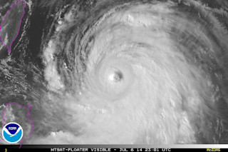
这张由日本气象厅 MTSAT 天气卫星拍摄的图像显示,超级台风尼格力于周一在西太平洋上空旋转。(来源:日本气象厅)上周四,当飓风亚瑟逼近北卡罗来纳海岸时,我发布了一篇简短更新,称太平洋上正酝酿麻烦。现在,麻烦来了——而且影响巨大。
广告

来源:联合台风预警中心。当时还是热带风暴,现在已经发展成超级台风尼格力。我现在正在加利福尼亚时间周一午夜后不久写作,这场风暴持续风速为每小时155英里,阵风高达每小时190英里,根据联合台风预警中心的数据。目前预测的路径显示,周二将对冲绳产生影响,周三登陆日本南部九州岛。(点击上面的缩略图查看风暴的预期路径和风速图。)

这张由日本气象厅 MTSAT 天气卫星拍摄的太平洋全景图显示,2014年7月7日,超级台风尼格力在日本以南的西太平洋上空形成了一个发育良好的眼。(来源:日本气象厅)尽管尼格力在袭击日本时可能会减弱一些,但它仍然有可能造成巨大的破坏,尤其是降雨和山体滑坡。九州岛已经出现了与台风无关的强降雨——24小时内至少在一个地区降雨量达到10英寸。














